2 minutos de lectura ( 352 palabras)

Comienza la ejecución de las nuevas naves para tecnología de drones y logística Aeropuerto de Teruel

Nave-zona-su_20230711-084154_1

Con fecha 11 de julio de 2023 comienzan la ejecución de los contratos de los proyectos y obra nave en zona sur y de nave de 5.000 m2. Ambos proyectos y obra han sido adjudicados a la UTE URBIALBA – EMIPESA y tendrán un plazo de ejecución de 10 meses. En los 2 primeros meses se redactarán los proyectos, y una vez revisados se procederá a la ejecución de las obras durante un plazo de 8 meses.

La obra de la nave de la zona sur consiste en la demolición de las edificaciones existentes, la adecuación de las parcelas y la construcción de una nave de 1.500 metros cuadrados de superficie con accesos, urbanización, acometidas, drenajes e instalaciones. Se ha adjudicado por un importe de 1.289.895,00 euros (IVA excluido).

Esta nueva nave permitirá el inicio de una nueva actividad a desarrollar en las instalaciones del aeropuerto, como es todo lo relacionado con la tecnología de drones, una actividad en desarrollo actualmente y que permitirá la instalación de una nueva empresa en el aeropuerto.

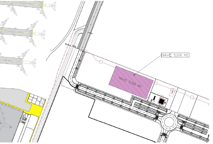
La nave de 5.000 m2, que se ubicará en el polígono industrial, tendrá unas dimensiones de 50 x 100 metros. La nave tendrá una estructura metálica, compuesta de pórticos alineados con las fachadas de acceso y posterior, y correas que lo estabilizan, además de un cerramiento con panel machihembrado tipo sándwich atornillada a la estructura. Se ha adjudicado por un importe de 1.749.601,11 euros (IVA excluido).

La construcción de esta nave se debe a la demanda de espacios para el almacenaje de piezas logísticas aeronáuticas por parte de las empresas del sector. Esta nueva nave se une a las ya existentes en el aeropuerto de 900 m2 y de 2.000 m2 y destinadas al almacenaje de material aeronáutico.

La Dirección de ambas obras, control y vigilancia y coordinación de seguridad y salud será llevada a cabo por la empresa AGORA, INGENIERÍA, SERVICIOS Y PREVENCIÓN, S.L. por un importe de 103.886,00 euros (IVA excluido).


Nave 5.000 m2

Ubicación nave 5.000 m2

Nave zona sur

Plano nave zona sur

Plata © 2023 - Polígono de Tiro, 4 44396, Teruel, Aragón, España - Tlf: +34 978617742 - Esta dirección de correo electrónico está siendo protegida contra los robots de spam. Necesita tener JavaScript habilitado para poder verlo.